Save
Ask
Tour
Hide
$42,000
185 Days On Site
0000 SullivanMonroe, MI 48161
For Sale|Land|Active
County:
Monroe
Listing courtesy of Susan Jedynak of Premiere Realty Group LLC
Call Now: (734) 241-2700
Is this the listing for you? We can help make it yours.
(734) 241-2700


Save
Ask
Tour
Hide
Mortgage Calculator
Monthly Payment (Est.)
$192Calculator powered by Showcase IDX, a Constellation1 Company. Copyright ©2025 Information is deemed reliable but not guaranteed.
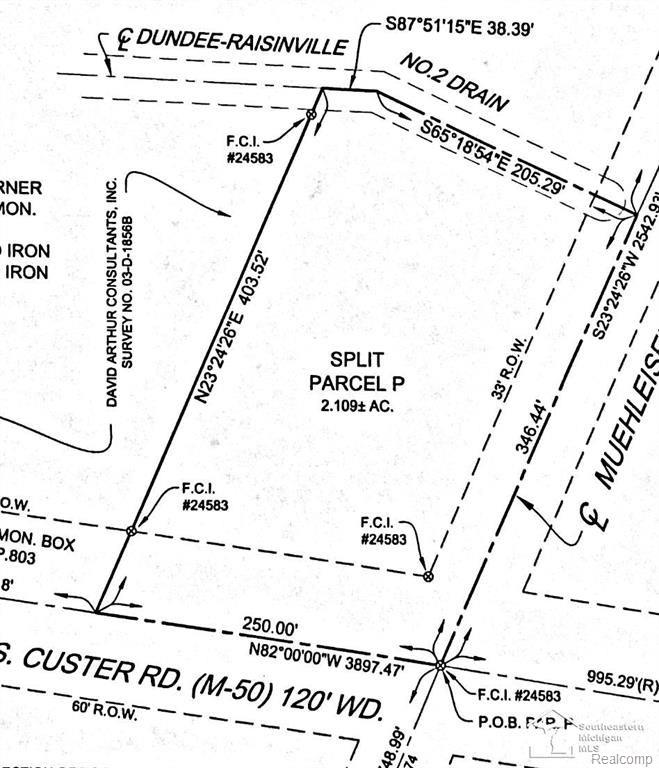
Build your dream home on this prime lot situated on 2.1 acres in a beautiful country setting, in Dundee schools. Lot sits at the corner of Sullivan Rd (Muehleisen Rd) and Custer Rd and is lot "P" in in a group of parcels in Raisinville Twp. (W side of Sullivan, N side of Custer) Natural gas and city water at street. Septic will be required. Enjoy the quiet of rural living while still being not too far from anything you need - about 10 minutes from all the shopping in either Dundee or Monroe! Use your own builder, but deed restrictions apply. Don't miss this opportunity to own a slice of peaceful countryside!
Save
Ask
Tour
Hide
Listing Snapshot
Price
$42,000
Days On Site
185 Days
Bedrooms
N/A
Inside Area (SqFt)
N/A
Total Baths
N/A
Full Baths
N/A
Partial Baths
N/A
Lot Size
2.1 Acres
Year Built
N/A
MLS® Number
60388557
Status
Active
Property Tax
$100
HOA/Condo/Coop Fees
N/A
Sq Ft Source
N/A
Friends & Family
Recent Activity
| 2 months ago | Listing updated with changes from the MLS® | |
| 2 months ago | Price changed to $42,000 | |
| 6 months ago | Listing first seen on site |
General Features
Acres
2.1
Cross Street
Custer Rd & Sullivan
Direction Faces
North
Disclosures
Yes
Utilities
Water Available
Zoning
Agricultural
Save
Ask
Tour
Hide
Community Features
MLS Area
Raisinville Twp (58013)
School District
Dundee Community Schools
Township
Monroe Raisinville Twp
Schools
School District
Dundee Community Schools
Elementary School
Unknown
Middle School
Unknown
High School
Unknown
Listing courtesy of Susan Jedynak of Premiere Realty Group LLC
Provided through IDX via MiRealSource. Courtesy of MiRealSource Shareholder. Copyright MiRealSource.
The information published and disseminated by MiRealSource is communicated verbatim, without change by MiRealSource, as filed with MiRealSource by its members. The accuracy of all information, regardless of source, is not guaranteed or warranted. All information should be independently verified.
Copyright 2025 MiRealSource. All rights reserved. The information provided hereby constitutes proprietary information of MiRealSource, Inc. and its shareholders, affiliates, and licensees and may not be reproduced or transmitted in any form or by any means, electronic or mechanical, including photocopy, recording, scanning, or any information storage and retrieval system, without written permission from MiRealSource, Inc.
Last checked: 2025-10-26 08:19 AM UTC
Provided through IDX via MiRealSource. Courtesy of MiRealSource Shareholder. Copyright MiRealSource.
The information published and disseminated by MiRealSource is communicated verbatim, without change by MiRealSource, as filed with MiRealSource by its members. The accuracy of all information, regardless of source, is not guaranteed or warranted. All information should be independently verified.
Copyright 2025 MiRealSource. All rights reserved. The information provided hereby constitutes proprietary information of MiRealSource, Inc. and its shareholders, affiliates, and licensees and may not be reproduced or transmitted in any form or by any means, electronic or mechanical, including photocopy, recording, scanning, or any information storage and retrieval system, without written permission from MiRealSource, Inc.
Last checked: 2025-10-26 08:19 AM UTC
Neighborhood & Commute
Source: Walkscore
Disclosure: Community information and market data powered by Constellation Data Labs. Information is deemed reliable but not guaranteed.
Save
Ask
Tour
Hide

Did you know? You can invite friends and family to your search. They can join your search, rate and discuss listings with you.